忘れ鼻整形

美人の条件ともいわれる「忘れ鼻」。
忘れ鼻整形では、大きく重たい鼻の印象を軽くして
目立ちすぎない控えめな鼻へ変化させます。

「忘れ鼻は美人の条件」と昔から言われていますが、忘れ鼻とは「美しく整っているため、後から思い出そうとしてもどんな鼻だったか思い出せない」ような、主張が少なく目立たない鼻のことを言います。
といっても、忘れ鼻は単純に「小さくて目立たない鼻」であればよいというわけではなく、全体のバランスが整っており、その人の雰囲気や顔立ちにもあっているという点が一番のポイントになります。そのため当院でも、明確な「忘れ鼻整形」という具体的な術式は用意しておらず、患者様の仕上がりイメージや、顔立ち・雰囲気にあわせて、取り扱っている約50種類の鼻整形術の中から最適な術法を選択して施術を行っています。忘れ鼻整形として鼻整形術を行う場合、ひとつの術式だけで実施することもありますが、多くの場合は複数の手技を組み合わせて施術を行います。つまり忘れ鼻整形は、鼻筋・鼻先・鼻の高さなどの全体のバランスを見た上で一人ひとりの顔立ちや雰囲気にあわせて施術方法や術式を組み合わせていく「完全カスタマイズ」の鼻整形術です。
現在、鼻の各施術においてモニター募集中です。
詳細についてはお気軽にお問合せ下さい。
忘れ鼻整形は以下のような方にお勧めです
- 目立ちすぎる鼻を軽くしたい
- 顔立ちにあった主張の少ない鼻にしたい
- 鼻先が太くて重たい
- 小鼻が大きい・小鼻の横幅が広い
- 鼻の上下長が長くて鼻全体に存在感がありすぎる
- 鼻スジが前に出ている(ハンプ)
- 鼻柱が下に出っ張り過ぎている(矢印鼻)
- 鼻先が下に垂れている(魔女鼻)
- 鼻スジの横幅が広い(アバター鼻)
- 鼻翼の皮膚が厚い
- 鼻先が高すぎる
- 鼻の穴のフチのラインが低すぎる(フラット過ぎる)
忘れ鼻整形とは
バランスの取れた美しい鼻に一定の定義はなく、一人ひとりの顔立ちや雰囲気によって条件が異なるため一概には言えませんが、理想的な鼻のラインと言われる「黄金比」の状態に近いフォルムですとバランスが比較的取れた状態になります。それぞれの気になるパーツにあわせて適した施術を行うことで、イメージに近しい忘れ鼻を形成します。
忘れ鼻を構成する要素例
鼻の高さや鼻筋の太さを整える

横から見た際にEライン(鼻先・顎先を結んだライン)の内側に唇の先が収まっており、鼻の角度は頬のラインに対して33度が理想といわれています。高い鼻背や太い鼻スジは、男性ならば意志の強さ、力強さや威厳の存在に通じるとして良い印象を与えるケースもあり得ますが、女性の場合は性格が強すぎて見えたり、老けて見えてしまうこともあります。現在のトレンドとしては、男女ともに鼻筋がスッキリとして、ハンプ(中央の出っ張り)がなく、さらに鼻先に尖り感のあるいわゆる「シュッ」とした雰囲気の鼻が人気です。
鼻スジの横幅を狭くする

鼻スジ(鼻背)が横に広がっていると、鼻全体が大きく見える他、顔がのっぺりとして見えることがあります。鼻スジに高さを出して細くすることで鼻の印象を軽くします。
適応施術
- I型シリコンプロテーゼ
- 鼻スジ縮小
- 鼻骨骨切
※鼻スジ縮小、I型シリコンプロテーゼ(細身)、鼻骨骨切り術/鼻スジが横方向に幅広い場合は骨切り幅寄せ術を勧めるクリニックが多いですが、この施術は術後に後戻り現象が生じることがあります。そのため当院では、鼻骨の両外側を削りつつ皮膚と軟部組織に操作を加えることで後戻りを防ぐ施術を行うことが多いです。
前方に出た鼻スジを改善する
鼻先の形や高さを整える

鼻は鼻筋・鼻先・小鼻・鼻の穴など様々な要素が組み合わさって成り立つ部位ですが、特に鼻先の形状(大きさ・太さ・高さ・向きなど)は、鼻全体の印象において大きな影響を与えます。そのため鼻先にインパクトがありすぎると鼻全体のバランスが悪く見えることがしばしばあります。たとえば鼻先の角度は、女性ですと床と平行もしくは多少アップノーズ気味とすることが多いですが、男性ではアップノーズはあまり好まれない傾向があり、床と平行に前に出すか、ほんのわずかに下向きが好まれる傾向にあります。しかし鼻先は、わずかに上を向けることで軽さを表現することがでいるため、忘れ鼻整形を目的として施術を行う際には、男女ともに平行か多少上向きに調整を行うことが多いです。
太い(丸い)鼻先を目立たなくする

いわゆる「だんご鼻」の状態で、このような状態の改善には鼻尖縮小が適応となります。単独でも効果を得られますが、プロテーゼなどと併用することでよりシャープなラインを形成できます。
適応施術
低い鼻先に高さを出す
高すぎる鼻を調整する

鼻先が高すぎると、鼻先にボリュームが出すぎてしまい存在感が増してしまうことがあります。このような際には鼻先の皮下組織を除去する鼻先低鼻術が適応になります。
適応施術
- 鼻先低鼻術
下垂した鼻先を上に向ける

鼻先が下に垂れた状態は「魔女鼻」「垂れ鼻」などと言い、年齢よりも老けた印象を与えることがあります。施術後は鼻に軽さが出るため若々しく優しい印象になることが多いです。
適応施術
小鼻や鼻の穴の大きさを整える

小鼻においては、鼻翼の皮膚が厚いと鼻が重々しくみえるので、鼻翼の皮膚の厚さを軽減する手術を行います。さらに鼻の穴が大きい・もしくは前から見た際に目立つ場合は、一般的にはキワのラインを下に下げて降ろす鼻孔縁下降術を行うことが多いですが、キワのラインが生まれつき低すぎて、それによって前から見たときに鼻の皮膚量が多すぎるために、重さが強調されているケースもあります。このような場合は、鼻の穴を意図的に前から見えやすくするために鼻の穴のキワにあえてカーブを作る手術もあります。
広がった小鼻を目立たなくする

小鼻が横に広がっている状態は「あぐら鼻」「獅子鼻」などと言います。鼻の存在感が大きく見える原因になるため、このような際には小鼻の横幅を皮膚切除によって縮める施術を行います。
適応施術
分厚い鼻翼を薄くする

鼻の穴(外側)の厚みを除去することで鼻を軽く見せることが可能です。また鼻整形後に鼻の穴がソケット状になってしまった状態を改善する際の他院修正術としても適応となります。
適応施術
平坦な鼻の穴のフチにメリハリをつける

鼻の穴のフチが下に垂れている状態を改善することで鼻に軽さを出すことも可能です。鼻の穴が良く見える状態(いわゆるブタ鼻)の逆パターンですが、ご相談がしばしばあるお悩みです。
適応施術
※鼻孔縁挙上術/この手術自体で鼻全体の形は変わりませんが、鼻の穴のフチのラインがあまりに低くフラットな場合に適応となる施術です。フチのラインに適度なアーチ型のカーブを作ることで、鼻を前から見た際に小鼻の皮膚の量が減るため鼻の印象が軽くなります。
出っ張った鼻柱をひっこめる

左右の鼻の穴の仕切り部分を「鼻柱」と言います。この部分が過度に下方向へ突出していると、鼻の存在感が増す他、年齢よりも老けた印象を与えることがあるため、鼻柱を引っ込めて鼻を軽くします。
適応施術
引っ込んだ鼻柱を少し伸ばす

左右の鼻の穴の仕切り部分(鼻柱)が引っ込んでいると、相対的に左右の鼻の穴が目立って見えることがあります。このような状態を改善する際に鼻柱を下方向に伸ばして鼻の印象を軽くします。
適応施術
※鼻柱延長/一般的に鼻柱延長は鼻にボリュームを出す際に行う施術ですが、忘れ鼻整形で行う際には、鼻柱を下に出すことで鼻先の横方向の広さを緩和させる目的で使用します。
厚みのある鼻柱を薄くする

小鼻が大きく見える原因が鼻の穴や外側の皮膚の厚みではなく「鼻柱の太さ」の場合もあります。この場合は太すぎる鼻柱を皮膚切除・軟骨幅寄せで細くすることで、鼻先に軽さを与えます。
適応施術
※鼻柱縮小(鼻柱幅縮小)/他院で鼻中隔延長術などの軟骨移植手術を行った結果、イメージよりも鼻柱の幅が太くなりすぎてしまったという他院修正で行うことが多い施術です。鼻翼軟骨の間に挟まれた軟骨をしっかり切除しつつ、鼻柱と鼻中隔粘膜の境界部の皮膚を切除することで鼻柱幅を狭く細く見せます。
鼻の皮膚の厚みや肌の質感を整える

鼻の形状も大事ですが、同様に皮膚の厚さや肌質・質感も重要です。鼻先の毛穴が黒ずんでいたり開いている、もしくはニキビやニキビ跡のデコボコがある、酒さ様の赤みがあるといった状態ですと、鼻がより一層目立ってしまうため、スキンケアも大切です。
施術の特長
- あらゆるニーズに応えられるよう50種類のアプローチ法を用意
- 当院の鼻整形術では約50種類にも渡る様々な術式を取り揃えており、これによって患者様の希望や鼻の状態にあわせて最適な施術法を選び、お一人ひとりのリクエストにこまやかに対応することができる点が最大の特徴です。もともとはこれほどまでに沢山の施術法はなかったのですが、患者様から頂く様々なご要望に対し、その都度私が対応策を思案しているうちに新メニューが編み出されていき、それらが蓄積していった結果として今日のメニュー数となったという経緯があります。よって今後もまだまだ引き続き増え続けていく予定ですが、他院にはないニッチな手技が多数ありますので、他院でリクエストしたものの「そのような対応はできない」などとして断られてしまった方も一度ご相談ください。
- 後戻りのない、「変化」を確実に出す様々な工夫
- 鼻の整形では「他院修正」のご相談もかなり多いのですが、修正を希望してご来院される方で最も多いものが「全く変化がなかった」「少ししたら元の状態に戻ってしまった」という内容です。これは医師の手技的な問題の他、術後の変化を医師が事前に予測しきれなかったために起きる鼻整形でよくある失敗・トラブルのひとつです
当院では、鼻整形術をほぼ連日のペースで多数手掛けている院長の小松自身が、今までの多数の症例経験を元に施術を行っている点も他にはない特長です。膨大な過去の症例実績をもとに、手術の際には術後に変化をきちんと実感いただけるよう様々な工夫(※切開・縫合・固定の仕方などの手技的な工夫)を取り入れており、術後に「変化がなかった」「元に戻った」といったご不満の声をいただいたことは今のところ一度もありません。 - 仮縫合時に仕上がりを確認できる「真のオーダーメイド整形」
- 当院ならではの鼻整形術の特長としてもうひとつ、術中に仮縫合を行った段階で、患者様に仕上がりの状態をその場で確認いただきご納得いただいたところで手術を終える(完成形にする)というプロセスを踏んでいます。
仮縫合の時点で高さやラインなどに気になる部分があった際には、その場で私 小松が手技を追加し、患者様のイメージにあった仕上がりになるように調整を加えます。鼻の整形では、他院修正(やり直し)のご相談をいただくことが特に多いこともあり、当院では、患者様が理想とされる、高さ、細さ、幅、カーブ、シルエットなどに近づけてゆくというプロセスを重視しています。これによって、術後に「思っていた仕上がりと違った」といった失敗・トラブルを最大限防ぐことを可能にしています。
症例写真
鼻筋を細く見せる複合手術
(プロテーゼ・鼻尖縮小・鼻中隔延長術など)
ドクターによる症例解説
症例に関する情報
治療名:鼻尖縮小、鼻筋縮小、鼻中隔延長術、小鼻縮小、鼻プロテーゼ 費用:5つの手技の合計額 1,210,000円 治療に伴う可能性のあるリスク・副作用:腫れ、内出血、感染、皮膚面の傷跡、左右非対称、血腫など 施術内容に関する問い合わせ先:お問い合わせフォームからどうぞ
鼻尖形成+ハンプ除去
(忘れ鼻整形)
ドクターによる症例解説
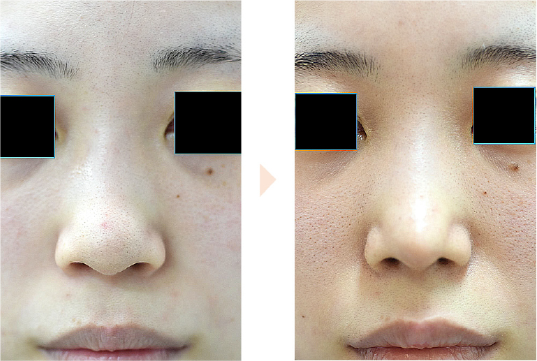
術前
鼻先の太さ、鼻スジのハンプ(前方への突出)によって、鼻全体が大きく重い印象を与えるため、全体的に鼻が目立たない状態にしたいとのことでご来院された21歳の女性です。このように存在を主張する鼻を軽く見せる鼻の整形は「忘れ鼻整形」と言い、1つのジャンルを確立しています。なお、忘れ鼻整形にはテンプレート化された術式はなく、お一人ひとりの鼻の状態にあわせた形で手術を行います。今回の方の場合は、鼻尖縮小(鼻尖形成)とハンプ除去を行うことで印象を変えることができると判断し、ご本人に術後イメージなどを丁寧にご説明した上で本施術を行うこととなりました。
術後2ヶ月目
術後2ヶ月目の状態です。ご本人が気にしていた鼻先が細くなり、またハンプがなくなっているのがお分かりいただけるかと思います。これらの相乗効果によって重たく大きな鼻が、華奢で線の細い女性らしい雰囲気に変化しています。この方のように団子鼻と一般的に言われるような鼻の形状の場合、ハンプを合わせて操作し除去することでより鼻の存在感を和らげることが出来ることが多いです。
症例に関する情報
治療名:忘れ鼻整形(鼻尖形成・ハンプ除去) 費用:550,000円 治療に伴う可能性のあるリスク・副作用:血腫、感染、腫れ、内出血、左右非対称、皮膚面の凹凸、傷跡など 施術内容に関する問い合わせ先:お問い合わせフォームからどうぞ
術後のトラブル・失敗を防ぐための
「仮縫合時の確認作業」

手術中(仮縫合時)の確認作業は当院に限らず、どこのクリニックでも実施をすることが可能なプロセスではあるのですが、実際に導入しているクリニックはほぼ皆無です。その理由としては、
①全身麻酔・静脈麻酔を使用するため手術中に患者様が確認できない
②麻酔や手技による腫れが生じてしまい、術中に「完成形と同じ状態」を確認できない
③患者様からその場で追加修正をいただいた際に即興で修正することができない
などが挙げられるのではないかと思います。当院では手術中に必ず患者様にお声がけして、手術後の鼻の形を鏡でご覧頂き気になる点があった際にはその場で即興の修正を行い、理想のラインに整えていくプロセスを行っています。
理想の鼻のラインは人によって十人十色です。そのため術者がいくら「成功した」「うまくいっている」と思っても、患者様が結果に満足しなければその手術は完全に失敗です。ゆえに自分自身への戒めの意味も込めて、「術者の独りよがり手術」にならないよう、患者様の“術中の”率直な意見を重視して、手術結果に正確に反映させられるよう日々取り組んでいます。
「手術中の腫れ」について
診察の際に上述の術中確認についてお話をした際に、患者様から「手術中は腫れが生じるので仕上がり見た目が違うのでは?」といった質問をいただくことがあります。当院の鼻の整形術では、皮膚の剥離方法の工夫によって手術中の腫れはほぼありませんので、仕上がりの完成形を手術中にほぼ寸分の狂いなく確認いただくことが可能です。患者様によると、他院では術中の確認を患者様が希望すると「腫れているので確認の意味がない」として断る医師が多いようですが、腫れのない状態で手術を進めることで術中確認は大変意義のあるプロセスになりますので、当院では必ずこの作業を行っています。
忘れ鼻整形の術後の経過、リスク・副作用について
傷跡について

忘れ鼻整形では、多くの手技がオープン法アプローチのために鼻柱部に傷跡が残ります。(他の切開部位は鼻の穴の中なので、表からは見えません。)しかし、鼻について初回の手術の方であれば、3ヶ月程度でほぼ分からなくなることがほとんどです。繰り返し手術を行っている方の場合は、何度も同じ箇所を切ると手術を行った部位はくびれたように陥没してスジ状になって目立ってくることがありますが、初回の手術ならばまず気にされる方はおりません。また、どうしても鼻柱に傷跡を残したくなければクローズアプローチとして鼻の穴の中の切開のみで済ませることも可能です。
術後のダウンタイム
(腫れ、赤みなど)について
術後の腫れや赤みについては、忘れ鼻整形の際に行う手技とその組み合わせによって異なります。傾向としては、アプローチ法(オープン法かクローズ法か)についてはクローズ法のほうが腫れ・内出血などのダウンタイムが短く、また組み合わせについては複数の手技を組み合わせていくとダウンタイムは長くなります。平均すると、おおよそ1ヶ月以内に落ち着くものがほとんどです。
忘れ鼻整形後の注意点
できるだけ触ったりしない

これは忘れ鼻整形に限らず、どの鼻整形にも言えることですが、術直後は手術を行った部位の組織が固まるまでに時間がある程度かかるため、必要以上に強く手で押したり何度も触ったりすることは1ヶ月程度避けてください。1ヶ月以上たつと、組織同士が癒着するので手で動かしたりしても鼻が曲がったり、変形することはまずあり得ません。ただし、1ヶ月以上経過しても転倒や殴打、交通事故などによって強い力が加われば、変形が発生する可能性はあります。
鼻への美容医療は1ヶ月程度控える
忘れ鼻整形を受けた後に、鼻にレーザー治療や光治療などの照射系施術を受ける場合は、手術の腫れが引くまでの1か月程度は控えるようにしてください。
術後、一時的に皮膚の感覚が
なくなることがあります
忘れ鼻整形に限らず鼻の整形全般で言えることですが、オープン法で施術を行った場合は皮下組織を広い範囲で剥離するため、術後鼻の皮膚表面の感覚が一時的に鈍くなることがあります。このような症状は通常6ヶ月から1年以内に回復してゆく現象です。なおクローズ法でもこのような現象は見られないことはないですが、程度ははるかに軽く、術後3ヶ月以内には回復してくる術後の一時的な副作用です。
より完成度の高い忘れ鼻を目指す方におすすめの施術

忘れ鼻整形と言うと鼻の高さや形を変えるイメージが強いですが、鼻の肌質と質感もまた鼻の印象に影響を与える大きなファクターです。なぜなら、毛穴が開き、にきび跡の凹凸が目立っていると鼻の大きさと重さをさらに強調する作用があるからです。鼻の黒ずみや毛穴が気になる場合には、フラクショナルレーザーを照射することで毛穴を引き締めて滑らかにする治療がお勧めです。また黒ずみの原因が皮脂の分泌過多の場合、これを抑える内服薬を併用することで解決することができます。そうではなく、太く短い毛が鼻の表面から生えていることで黒ずんで見える場合には脱毛レーザーを行うことで黒ずみを改善します。忘れ鼻整形の最後の総仕上げとして、総合美容クリニックである当院としては鼻の肌質にもこだわりたいところです。
ボトックス注射による忘れ鼻整形
鼻の整形というと手術を想像される方がほとんどかと思いますが、実はボトックス注射が適していることもあります。ボトックスには、筋肉を萎縮させてボリュームを減らす効果があることが一般的に知られています。鼻も表情の動きの一部として動かすことが出来ますので、当然筋肉をその成分として含んでいます。これを利用して組織を萎縮させて鼻を小さく見せることも可能であり、これも広い意味での「忘れ鼻整形」と言うことも出来ます。例えば小鼻にボトックスを注射することで、小鼻を小さく見せることが出来ます。また、笑った時の小鼻の広がりを気にしてご相談を受けることが多いですが、このような際には小鼻の外側の筋群の働きをボトックス注射で抑制することで鼻の穴の広がりを目立たなくすることが可能です。
このように、「忘れ鼻整形」と言っても必ずしも切開手術ばかりを指す訳ではないところがこの手技の奥深い点でもあります。
効果目的
- 大きな鼻を小さくする
- 重い印象の鼻を軽くする
- 鼻スジを細くする
- 鼻先を細くする
- 鼻先に尖り感を出す(シャープに見せる)
- 長すぎる鼻の上下長を短くする
- 横顔における鼻のラインを整える
施術の流れ
- 洗顔後、顔面全体を消毒します。
- 耳介軟骨を採取する場合は耳の消毒を行います。
- デザイン:皮膚ペン(スキンマーカー)により皮膚面にマーキングを行います。
- 耳および鼻に局所麻酔注射を打ちます。
- ケースによっては耳から軟骨を採取します。(軟骨は、耳珠もしくは耳甲介から採取します)
- 鼻の穴のキワと鼻柱の皮膚切開を行い鼻先もしくは鼻スジ周りの皮膚を剥離します。(小鼻手術の場合は、小鼻の皮膚を切開、切除します)
- 余剰な皮下組織や鼻翼軟骨の切除を行います。
- 軟骨移植を行います。(ケースによります)
- 途中何回か、皮膚を仮縫合した状態で上体を起こしていただき、御自身で鏡を持って見てもらい鼻先の形・角度・プロフィールなどを入念にチェックしてもらいます。必要があれば、鼻先の形や高さの微調整を行います。
※この時点でほとんど腫れはありませんので、正確に完成形をシミュレーションすることが出来ます。
※鏡で見て自身で横顔が確認しづらければ、スタッフが横からカメラで写真を撮影して術中にカメラの液晶画面で見え方を確認することも可能です。 - 形が完成したところで皮膚を糸で縫合し傷を閉じます。
- テープ固定およびギプス固定を行います。
- 20分ほど安静室にて休憩し、その後出血が止まっていることを確認して帰宅します。
料金
| 忘れ鼻整形 | 基本的に1回 | 220,000円~ (施術内容により異なる) |
|---|
※記載料金は予告なく変更することがございます。またカウンセリング・診察時にご提示したお見積について、有効期間は提示日より3か月とさせていただきます。
施術情報
-
所要時間1時間~3時間程度(手術内容による)
-
ダウンタイム腫れが落ち着くのに4週間程度(手術内容による)
-
施術の痛み局所麻酔注射による痛み
-
通院標準的には3回程度の術後再診を想定しています。
2日目:鼻栓除去
5日目:ギプス除去
7日目:縫合部の抜糸
(鼻栓を自宅で御自身で抜去いただく場合、ギプス除去と抜糸を7日目にまとめることも可能です) -
麻酔以下の4つのパターンから選択可能
局所麻酔注射のみ
局所麻酔注射+鎮痛点滴
局所麻酔注射+静脈麻酔
全身麻酔 -
持続性半永久的効果
-
洗顔ギプスが取れる5日目より可能
-
シャワー・入浴鼻の腫れがひくまでは体の洗浄はシャワーのみが望ましい
-
メイクギプスが取れる5日目より可能
よくあるご質問
- 「忘れ鼻」とは、小さい鼻のことでしょうか。
- 忘れ鼻=「小さい鼻」という言い換えでも、ざっくりとした印象としては間違ってはいません。しかし、必ずしも小さいことだけを意味せず、鼻先が太い場合は鼻先に軟骨移植を行って高さを出すことで太さを緩和したり、鼻スジが太い場合には細身のプロテーゼを入れることで鼻スジを通し、ほっそりした雰囲気の鼻に見せることもあります。つまり前後方向にボリュームをあえて与えることで鼻の印象を軽くするというテクニックをも含むため、厳密に言えば「小さい鼻」という意味と異なる部分も多くあります。「忘れ鼻整形」は、大きいだけでなく存在感が重い鼻を、軽くスッキリとした雰囲気に変える鼻整形全般を含む概念です。
- 忘れ鼻整形と鼻フルセット整形の違いは何ですか。
- 忘れ鼻整形は、重い鼻を軽く見せる手技全般を指しますので、必ずしも複合手技を含みません。単一の手技であっても忘れ鼻整形は成立します。対して鼻フルセット整形(鼻フル、鼻フルコースなどともいわれます)は、複数の手技を組み合わせてトータル的な鼻のラインを調整する際に行う手術となり、我々が意識して使用せずとも患者様側からの言葉として使われることが多いです。鼻フルセット整形についても忘れ鼻整形同様に、〇〇と〇〇と〇〇の組み合わせという定型的なものがあるわけではありません。また、忘れ鼻整形も手技の数が多くなれば結果的には「鼻フルセット整形」と同じ内容になった、といった例もあります。
- 忘れ鼻整形と鼻整形お任せプランの違いは何でしょうか。
- 忘れ鼻整形は、鼻の存在感を薄めたり、全体的なボリュームを小さくするといった目的で行う施術です。対して鼻整形お任せプランは、患者様のご希望によっては小さくする・ボリュームを抑えるだけではなく、鼻をより高く見せたり、長く見せるといった形で変化を出す、いわゆる「魅せ鼻」を形成する目的で行う施術です。「忘れ鼻」と「魅せ鼻」という二つの軸でカスタマイズ鼻整形を行っている点も、当院の特徴でしょう。
- 忘れ鼻整形の具体的な手術内容を知りたいです。
- 忘れ鼻整形で行う手技は、代表的な例としては鼻先縮小(鼻尖形成)、小鼻縮小(鼻翼縮小)、鼻スジ縮小(鼻骨外側骨削り)、鼻骨骨切り幅寄せ、鼻スジシリコンプロテーゼ(I型)、ハンプ除去、鼻柱挙上、鼻尖挙上、鼻孔縁挙上、鼻柱下降術(鼻橋部耳介軟骨移植・鼻柱延長)などがあります。これらの手技のうち、1つを単独で行うこともありますが、複数のものを組み合わせた場合は相乗効果によって、単独手技よりもさらにスッキリ感のある鼻に仕上げることが可能です。
- 忘れ鼻整形では、自然な仕上がりになるのでしょうか。
- 「自然な仕上がり」の定義は個々人でかなり異なり幅があります。それゆえ当院では、患者様との意思疎通のミスマッチを防ぐために、手術中に上体を起こして鏡で現在の状態をその都度チェックしていただいております。この段階で鼻の腫れは最低限に抑えており、また切開は糸で仮留めされているため傷の中が見えて怖いなどといったこともありません。「仮仕上がり」の状態を見て気になる点があれば術者にその場でお伝えいただければ、仮糸を外して作り直してさらに鏡で患者様にチェックして頂きます。この術中の確認作業を繰り返すことで、患者様が自然であると感じる結果に近づいてゆきます。したがって今まで極端に不自然に仕上がったということはございません。
- 他院で以前、鼻手術を行っています。修正術(やり直し)として忘れ鼻整形を行うことが出来ますか。
- ケースバイケースです。すでに何度も整形手術を行っている場合、皮膚と皮下組織が硬くなってしまっており、再手術によって狙った形に変えるのが難しいケースがあります。また、前回の鼻の手術からまだ時間が空いていない場合、基本的に再手術をすぐに行うことは望ましくありません。最低でも前回手術より6ヶ月から1年は間隔を空ける必要があります。実際に対面で診察を行い、皮膚を触らせて頂いて触診の結果皮膚が充分に柔らかければ再手術可能という判断になります。
- 自分にあう忘れ鼻の具体的なイメージがつかめません。
- 当院には、術後の仕上がりの様子を事前に確認することができるシミュレーションソフトとして、最もメジャーな「ベクトラシステム」を用意しています。これは、患者様の顔を専用カメラで3方向から撮影したものを合成して立体画像とし、さらにパソコン上で再構築したものを使って術後イメージ(形状・細さ・高さ・長さなど)に変化させた画像を3Dの状態で確認することができるソフトです。術前と術後の画像を並べて比較することが出来ますので、実際に使用した患者様からは「変化をリアルにつかめました」といったコメントをいただくことが多いです。言葉での説明や、カルテに医師が書いたイラスト図だけでは具体的な手術結果がなかなか想像し難いという際にはベクトラでのシミュレーションが大変有効です。
- 鼻の皮膚が厚く固いですが、忘れ鼻整形は可能ですか。
- もともと生まれつき皮膚が厚く硬いケースであっても、忘れ鼻整形が出来ないということはほぼありません。ただし、他院の鼻整形を繰り返して鼻の皮膚が硬くなってしまっている場合には出来ない場合があります。術前の診察でそのあたりも、医師が実際に触って触診の上出来るか否か判断させて頂きます。
- 鼻スジが太い場合、忘れ鼻整形はどのような手技になりますか。
- 鼻スジ縮小術(外側鼻骨骨削り)、鼻骨骨切り幅寄せ術、I型プロテーゼ(細身)などがその主な候補となります。単独の手技で十分な変化を出せる場合もありますが、鼻の状態や仕上がりイメージによっては、これらを組み合わせる場合もあります。また、「鼻スジ」と言っても「鼻先の少し上方」付近が太い場合(supuratip/スープラチップというエリア)は、鼻スジ形成とは別の手技としてスープラチップ形成手術を行うことも多いです。
- 忘れ鼻整形は、オープン法とクローズ法のどちらで行いますか。
- 手術内容と手技の組み合わせにもよりますが、基本的にオープン法で行うのが確実です。例外的に鼻柱挙上、鼻柱延長、鼻I型プロテーゼについては、それぞれ単独手術の場合には特別にクローズ法で行います。
- 一度の施術で何部位まで同時に手術可能ですか。
- 時間が許す限り、基本的に何部位でも可能です。ただし「忘れ鼻整形」に関連する上述の候補手技のうち、鼻柱挙上と鼻柱延長だけはお互いに効果を打ち消しあう施術となるので一緒には出来ません。この施術以外であれば、何種類でも一度に組み合わせることが出来ます。
- 加齢で皮膚にゆるみが見られますが、忘れ鼻整形は出来ますか。
- 鼻の皮膚にゆるみ・たるみがあっても、忘れ鼻正解ができないということはありません。ゆるみによって、鼻の先端が下方に向かって垂れているなら、鼻先を上方向に持ち上げる鼻尖挙上手術などが良い適応となります。
- 鼻の複数箇所の手術を組み合わせる場合、セット割引はありますか。
- 当院では1部位単体の価格を他院よりもかなりリーズナブルに設定しているため、基本的にはセット割引を行っておりません。
- 忘れ鼻にするのが難しい鼻はありますか。
- もとの鼻の状態がどのような場合でも、基本的には忘れ鼻整形は可能ですが、他院で鼻整形を2回以上繰り返していたり、またニキビやアトピー性皮膚炎によって鼻の皮膚が炎症性変化によって線維化して固くなっている場合には、鼻の形を変えることが難しい場合もありますが、実際には稀です。
- 手術以外の方法で忘れ鼻にする施術はありますか。
- 鼻の整形術全般で言うと、一時期オステオポール(溶ける糸のメッシュをボール状にした人工物)による尖形成などが流行りましたが、これらはほとんど効果がないか、不自然な形になるということを患者様もすでに知ってしまったため、以前ほど行っているクリニックは少なくなりました(当院にはこれらの方法で施術をされた方からやり直し手術のご相談を多くいただいております)。また、鼻を小さくしたいとして脂肪溶解注射のリクエストも頂き、当院でも行うことが稀にはありますが、効果は極めて限定的です。(微妙に変わったかどうかというレベルです。)同じ注射系の施術なら、むしろボトックス注射のほうが多少ではあっても鼻に変化を出すことができ、効果は分かりやすいと言えるでしょう。
- 忘れ鼻整形をしたいのですが、同時に低い鼻を高くしたいです
- 忘れ鼻整形でよくある誤解ですが、「鼻に高さを出す」ことと「ボリュームが出て鼻が大きく見える」はイコールではありません。もちろん、あまりにやり過ぎれば術前よりも大きく重く見えてスッキリ感が損なわれるでしょうが、そうではなく、高すぎないプロテーゼを挿入し鼻スジに絶妙な尾根のラインを作ることでノーズシャドーを入れたような効果を演出したり、鼻先の鼻中隔延長術ないし鼻尖耳介軟骨移植によって、鼻先にわずかにさりげなくポイントを作って前に出してやることで、鼻先や鼻スジの細さを今よりも強調させることができます。鼻スジ、鼻先などへ部分的に手技をプラスするような手技であっても、鼻全体の印象を軽い方向に向けることが充分に可能であり、当院でも比較的多く行っている術法です。
- 忘れ鼻整形で周囲にばれることはありますか。
- 周囲に気づかれるかどうかは、鼻にどの程度の変化を出したいかによるでしょう。当院の鼻整形手術では、手術中に何度も仕上がりを患者様自身に鏡でご確認頂きながら手術を進めてゆきます。したがって、ご自身が希望していたよりも大きな変化が術後に生じてしまうということは基本的にありません。変化の大きさはあくまで患者様ご自身が決めることだからです。ですので、もしあまり周囲に知られたくないという際は、術後の変化を最小限にとどめるような施術にされることをお勧め致します。
- 男性でも忘れ鼻整形は可能ですか。
- もちろん男性であっても忘れ鼻整形は可能です。ただしあくまで一般論ではありますが、男女間で「忘れ鼻」の定義が多少異なる部分もあり、男性の場合は鼻スジを細くしすぎない、鼻先はアップノーズにはあまりしない、鼻先の幅は女性ほどは細くしないなど、細かい点に違いがあります。この辺りの調整は対面での診察の際にしっかりと確認した上で施術を行っていきます。
現在、鼻の各施術においてモニター募集中です。
詳細についてはお気軽にお問合せ下さい。


術前
上は、鼻筋と鼻先の太さを気にされて当院を受診された25歳の女性です。全体をすっきりとした印象に変えて鼻の存在感を軽くし、いわゆる「忘れ鼻」(存在を忘れてしまうほどうっすらと目立たないような鼻のことで美人の条件とも言われます)のようなイメージを目指したいとのことでした。
このような場合、プロテーゼなど一つの手技でも相応の変化を出すことは可能ですが、複合的な手技を組み合わせて鼻全体の形・ラインを調整することで、より患者様が理想とするイメージに寄せてゆくことが可能です。今回は事前の診察でご本人と話し合った結果、鼻プロテーゼに加え、鼻筋縮小(鼻骨外側骨削り)、鼻先縮小(鼻尖形成)、鼻翼縮小、鼻中隔延長術の合計5つの手技を組み合わせることとしました。
術後1年
術後は、手術後1年目の状態です。それぞれの部位について詳しく見てみましょう。
・鼻筋(プロテーゼ挿入+鼻筋縮小/鼻骨外側骨削り)
細身のプロテーゼを入れることで鼻背部分の細さを出しています。さらに鼻骨の両外側部分を骨ヤスリで削って細くしており、プロテーゼによる鼻筋の幅を細く見せる効果を増強しています。特に側貌(横顔)の写真を比較すると、鼻筋がプロテーゼによってしっかりと高くなっていることがよりはっきりしているかと思います。
・鼻先回り(鼻尖縮小+鼻翼縮小)
鼻尖縮小と鼻翼縮小を行うことで、鼻先のボリューム感がかなり小さくなっているのがお分かりいただけるかと思います。さらに鼻先を鼻中隔延長術で伸ばしつつ引き下げることで鼻先の形もより洗練された雰囲気に変えています。
※このようなケースで鼻筋のみにプロテーゼ単独術で高さを出した場合、操作を加えていない鼻先が術後に鼻筋の高さに負けてしまい、横から見た際に鼻先が絶壁のような形になってバランスが損なわれることがよくありがちです。そのため最近の傾向として、昔のように鼻プロテーゼを単独で行う手術というのはかなり減少傾向にあり、より美しいラインを形作るために、プロテーゼ挿入を行う際には鼻中隔延長術も組み合わせることが圧倒的に増えています。
下から見た術前後の比較
下から見た術前後の写真では、鼻先の縮小効果および小鼻の左右幅の縮小効果をよりわかりやすく確認いただけるかと思います。術前は左方向に倒れていた鼻先部分を手術の際に中心方向に矯正しており、鼻中隔延長術によって単純に鼻先を高くするだけでなく斜鼻修正効果も得ています。オープンアプローチのため鼻柱皮膚は切っていますが、術後1年の段階で傷跡はほぼ分かりません。
この症例について詳しく解説したブログ記事もありますので、あわせてそちらもご参照ください。
>複合的な手技による鼻整形術